After a successful mission at Coral Cay Conservation, I was aching to be back in the waters for my quests. There was no definite plan though, but I need to get immersed again in a more relaxed environment in my own terms in my grand element. And what a better way to start my diving year with my dive buddy in one of the outstanding community managed marine protected area in the country. It’s been more than three years since our last hop to Apo Island, after a relaxing sojourn from Siquijor, and again it was diving and snorkeling in the sanctuary. I could vividly remember the turtles silently grazing the sea grasses as I watched them while floating in the shallows, it was a lovely sight!

We took the long route by bus from Cebu City to the southern tip of the province in Santander town taking the ferry from Liloan Port. Arriving past 4am at the port, I succumbed to my drooping eyes for few minutes before we took the 4:45am first trip to Sibulan. While cruising, the waves tossed us fiercely and I begun to worry that the waters would be too rough for our dives. Approaching the Sibulan port was hard, and coming up to the port was even harder. Perfect timing was necessary, you need to run up the gangplank before another big wave tossed up the ferry. It was a good way to start the day for some adrenaline rush to be wide awake!
After a tsokolate-suman painit at the tiangge which we loved, we rushed to Harold’s Dive Center and felt relieved that our dives went as scheduled. To my surprise, we were a big pack for Apo Island that day, the Chinese and Koreans dominated the bunch. We were all in two full mini-buses!
Katipanan and Chapel
The waters was rough indeed slowing our cruise to the island yet the sight of wide blue seas lifted my spirit, I was hoping to see again the friendly turtles. There were diving boats already when we got there and to my surprise, many snorkelers were scattered already in the waters. The waters got crowded and I was sad thinking of the turtles, sea kraits and juvenile fishes in the sanctuary, the pressures of the disturbance in their habitat could cause much damage. I was hoping it wasn’t on a daily basis.

We were joined with an Australian and Chinese, four divers in one DM was good enough. The larger bunch of Chinese divers were in different groups. After setting up our gears, I was glad our DM reminded us for the buddy check before jumping off, I admitted we overlook this necessary protocol often times. The water was still choppy though it was sunny, but the cold waters felt good as we jumped in. As we waited for the other two newbie divers, we beg off for descent as the waves were surfing up and could waste my energy. Holding hands with my dive buddy, we immersed and quickly seek the depths from the rough surface. Yes, down there it was calm and safer as I expected.

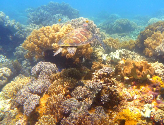
Katipanan as I vaguely remember was teeming with life, wide coral fields decorated with juveniles. Indeed, it is healthy as it was before but I didn’t see much fish life but large swarms of juveniles were visible. Surprisingly, my favorite garden eels came into view but not without Angel pointing it out to me. Their bodies half-way up poking from their holes on white sandy area, perhaps eyeing for food but as soon as we get nearer they went down slowly. Few stood their grounds and I paused momentarily, I just love watching the eels! We found a turtle resting above the corals, not moving even we got near. The turtles in this island are generally friendly, perhaps they got used already to human visitors! I was taking my time while floating weightlessly, just as it is, while it was choppy at the surface, beyond it was all serene and relaxing. It was a surprise there were group of jacks that graced as we swam around for the coral fields, a banded sea snake appeared also wiggling among the corals which we promptly evade. 🙂 We had our safety stop over the corals until we got near under our dive boat. We had 21.5 meters as deepest with 42 minutes bottom time.

We had light meals that served as our surface interval, it was bit windy though and staying on the boat felt cold. The waves getting fierce in the afternoon, the waters more choppy.
The boat moved to the Chapel for our last descent, finding refuge in another dive boat as the waves tossed us. Again, we waited for the two divers after we had the giant stride – the waves kept tossing us and I practically stayed near my buddy for safety. It took forever waiting for them, but as soon as we got down there was silence and the current was just mild. We were on coral fields again, just flourishing beating each other! Different hard and soft corals abound the area, there were nudis and my favorite moray eel appeared for me too, it was a giant one. The gentle turtles again – well, it won’t be Apo island without the turtles! We roamed the colorful coral fields just near our dive boat until we had our safety stop. We ascend still with 110 bars after 55 minutes bottom time.

The two relaxing dives were just perfect, after the works during the expedition it was what I needed. No pressures, just purely at peace with my favorite critters wanting to connect with them in their natural habitat. The marine environment of Apo Island is healthy as of now but I am not sure if this can be maintained. I was bit troubled of the large swarm of snorkelers and even divers, such bulk of disturbance is surely detrimental for the marine life. I fervently hope the community shall be mindful of the risks and inevitable impacts in a better perspective.

We silently cruise back to the shores of Dauin, bearing the cold winds and salt water spraying us from the fierce waves. Again, the cruise took forever but felt relieved that the shores was very calm. Angel and I flashed a wide smile as we talk about Casablanca and Sans Rival as we drove back into the city.
Dumaguete City, pure lovely in every way!























You must be logged in to post a comment.