Deluge at Duka Bay!

DSC06727
Ready to go!

In November, we head southeast down Misamis Oriental and revisited Duka Bay to relish once more its impressive depths. The bay has been a favorite back when I was just starting my dive pursuits. It is just few kilometers from Cagayan de Oro and I have good friends managing a diveshop in the location, this was my playground during my advance open water (AOW) course. The local government also exerted efforts for marine conservation and preservation – marine sanctuary maintenance, installation of artificial reefs, coral restoration and dive clean-ups. Their labor was intensive and the support for them was gratifying. The site is practically a good destination for weekend get- away.

DSC06970
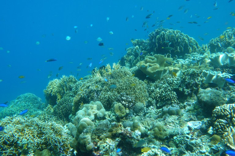
Filled with marine life!

The weather cooperated with us on that Saturday morning when previous days it was pouring hard, mysteriously the viz was good enough for our dives. There were no other divers so it was again an exclusive one for us. Edward, Jolem, Badette and Lemuel of Duka Dive & Aquasports were there for us.

DSC06770
Paying respect for Our Lady Star of the Sea

We were aiming for Mother Mary’s statue which is something new in Paradise, it was planted early in CY 2017 and has become an attraction in the bay. It was our first stop, she was there standing in the middle of white sandy slope away from the crowd. So alone, so serene. It reminds me of MUSA in Cancun, Mexico – but with only one statue it is a far cry. Marine critters started to inhabit the statue, actually promoting coral life. We proceed to that big crater full of tropical fishes, I positioned in the by-side, paused and watch in awe the busy stream of resident fishes swimming, darting, wiggling before me. We passed alibuags sending shivers as it was too cold to ignore. Duka is famous for these fresh water springs underwater, how uncanny nature is! There was a parade of giant snappers and a big turtle appeared. We entered a small cavern full of golden cardinals, swimming madly as we got near! The area is now more full with soft & hard corals, decorated with crinoids, whips and other invertebrates. Still a paradise, as it was!

Our last dive was at the Aquarium with an inner reef for the wide coral field and outer reef to the deeper part of the site. We descend on a sandy slope unto a large colony of garden eels, so many of them! And again, I linger for a moment to just watch them come up from their burrows inch by inch. Their shyness is endearing! There were lot of tropical fishes in variety, few nudis and a cluster of giant clams. We found too stonefish and a juvenile yellow frogfish. We roamed around the coral fields, biding our time and watchful for critters. There were alibuags again scattered, and true to its name as it was before, it is indeed an aquarium!

Just marvelous, the bay can never be outdone in its diverse marine life, and coming back after some time with a deluge of sightings was refreshing enough and brought back memories how replete this once my playground in the early days!

NB. All photos courtesy of my favorite dive buddy – http://www.lakwatsero.com! 🙂

Acanthasia & Paradise Dive!

The water was all greenish due to plankton season…

Wake up early and sneak away from home  hoping to catch up the 7am bus to Medina but miss it just about a minute, I saw it speeding  away as I got out of the taxi! So I waited for the next aircon bus and arrived at the diveshop  almost 10am.  I was surprise that there’s no other diver guests but just intimate friends and cousins of the Jugador’s,  but it’s good to see Mario and his wife, Ma’am Cristy.  I hastily dressed up and prepared, obviously the group have been waiting for me and I felt guilty about it.  😦  

The guys went up in another boat for another spot for their game fishing, while I went with my mentor and his wife for another spot to Acanthasia for our fun dive.  Just like my previous dives with my mentor, I’m all too confident it’s going to be effortless and safe descent in his territory at the bay.  The waters was bit choppy, and was all greenish due to the plankton season as explained by Mario.  So the visibility was poor, it was all hazy. But I was all forward looking what to discover for my cam, I need to learn more with the adjustments to get better photos underwater.

We descend at 60 feet as deepest to get around in the sanctuary, I felt overwhelmed with the fishes getting near, suddenly the scene went lively as we fed them (sorry, again!). So near I wanted to pet them with my hands, but they’re so quick and mistakenly bumped my hand!  I just watched them in awe and grateful for the chance to get close encounters like this right in their own habitat. We went around following Mario while taking photos until we lost Ma’am Cristy.   I stumbled upon a reef with crinoids, colorful corals and anemones and stop for some shots, only to find out moment later Mario was gone!  I went to follow his directions but decided to get back to the reef hoping he would try to look for me.  It was heart pounding to be alone down, I was trying to think my next move when I noticed a camouflaged colorful scorpion fish right in front of me!  🙂  If I didn’t get back to the reef I wont get the chance to see this rare specie. SRTA – I decided to head the beach direction to get shallower as my air is getting down.  Slowly I surfaced with my air at 500psi, about 60 meters away from the boat! 

A colorful scorpionfish!

I found them waiting for me including the boys handling the boat, I sensed Mario was bit annoyed with my getting lost, I could see it on his face – but surely the Lord will keep me unharmed!  I told him calmly that I found a scorpion fish & took photos – feeling like a guilty child caught in the act!  Lesson:  don’t expect your companions to look for you down as their air could be limited, ascend safely and in such situation do SRTA always… We get back to the shop and found that the guys had a big catch – a 12 kilo giant trevally! Amazing, we had a sumptuous lunch later…

Our second descent was at Paradise – the spot of the cold alibuag, the waters get choppy and our small boat was rocked by the waves.   Mario told me to have Ma’am Cristy as my buddy, careful not to be separated and not taking chances he got Gonz as our companion. We got to the alibuag again,  the cold fresh water was so cold and I swam over it again and again, and watch the pelagics passing by. The waters were still all hazy but had great time taking photos of the hard and soft corals I stumbled upon.  It was all uniquely shaped with unmatched hues!  Mario and Gonz carefully watching over us. I felt some bit of current.  Then, we get back as my air was down to 1000psi and prepared for our ascent, and found out as we surfaced that the sea calmed down already.  We went 80ft as our deepest – 20 feet deeper down than our first – which is actually against the rules!  🙂

After some pleasantries and consultation from my mentor and reminding him of the Tubbataha Dive plans, I left the shop but not without having me brought to the bus stop by Gonz & Edward. Riding on the bus heading home for Butuan, I was reflecting on some lessons for the day’s events.  Sometimes, the Lord allows situations when we felt helpless and vulnerable, not to harm us but to learn something valuable and important. I learned to find my own way and ascend alone unharmed and got delighted as I stumbled an elusive rare scorpion fish by myself.  And Mario is indeed a good mentor (actually he was annoyed with my mistakes but handled it well!), he can always be depended on in my diving lessons needs and concerns.  The Lord always made things perfect for everyone  everytime – especially on valuable stuff that warms your heart!

But just now, I can’t wait for my next month’s dive trip with Angel at Sogod Bay!  Patience, patience… 🙂

 

Diving in December!

I never knew that getting into the depths in the last days of the year can be more challenging!  🙂

Amazing Duka Bay!

There is always something new in every dive I had and indeed there are surprises and lessons in store in my every underwater encounters – what a joy!  J  Despite pretty hectic schedules in December, Angel and I tried to fit in one dive trip (my last for the year) last weekend.  Mindanao has a perfect sunny weather on year ends except two weeks ago when Typhoon Urduja strike Northern Mindanao leaving floods and landslides in some parts in Misamis Oriental.  I was suggesting for a hop to Camiguin but Angel wanted to have a side trip to Butuan for his cravings at Margie’s Kitchen.  Duka Bay would be a strategic site for our dive given itinerary plans.  I have been eagerly waiting for this last 2009 dive with Angel.

Full & Complete Saturday

Waking up early for the preliminaries – setting up uw cam and my contacts plus final packing,  promptly got a message from Angel of his arrival a little bit past 6am. I rushed thinking to get the 7am Bachelor Tours for Butuan.  It was fortunate to chance up a King Long bus, Angel was just in the nick of time when he arrived, the bus promptly left like 2 minutes after he got into the transpo!  It was a sunny morning indeed though when we arrived Medina, the skies went downcast.  Bubbles and Edward came to our aide, there were no other divers, just us and I like it.  We geared up for our first site, but we’re not on a dive boat but on a baruto – such a crude and spartan way to reach the dive spot though much better than swimming! We headed for  mooring bouy – it was that simple –  paddling to the spot riding the big waves! J It was something new and bit challenging, I only had my water entry during my night dive lessons but I had all the assistants surrounding me.  The water was choppy so we need to hold on to the mooring line for our descent.   It was amazing because it was plain clear and current-free down, we had a great deal going around – the crevices, small cave, drop-off.  We tried to search for critters, carefully probing corners.  We swam along the fresh water spring (alibuag) deep down, I went round again and again savoring the cold waters! It’s a wonder…  Near the spring were drop offs, we got down unto a sandy area and took photos.  We went round savoring the scenery and had our safety stop when our air got down to 80 bars, we went 110ft as our deepest! Well, taking off the gears in the choppy water is challenging indeed! And I got difficulty getting into the paddle boat but I made it though…. 🙂

When we got back to the dive shop, we took our early lunch and had some rest for our surface interval.  We geared up again for our next descent after more than an hour but this time the waves got higher!  This time we got a little pumpboat instead of the baruto, which was better especially that the water is getting more choppy. When we had our stop for the descent, we were tossed by the big waves. We started at the shallower part of the Aquarium going deeper. We went around, and the usual abundant fish life in the sanctuary is truly engaging – anthias, gorgonians, colorful crinoids, basket sponges, hard corals, soft corals.  We didn’t miss too the artificial reefs and swam on top of it, to get a glimpse of the giant clam perched on the AR crown.  We stumble upon a sea turtle – watching the creature wading its limbs was wonderful to behold!  J We followed him swimming. We sighted too a moray eel, puffers and lionfish trapped inside a basket sponge, and  school of angel fish and batfish.  Really, the sanctuary has truly an abundant fish life – just perfect for its name – Aquarium.  We prepared for our ascent when Angel’s air was almost zero.  It was getting more choppy and we were tossed when we surfaced, getting off from our gears.  Angel has to help me to get up into our boat, it was challenging but I was learning.  🙂

DM Edward suggested to call it a day, the waters became too choppy and the viz is getting hazy.  Angel and I planned for three dives but agreed with him, we felt exhausted too after the two challenging dives.  We packed our things and left Medina for Butuan a little past 3pm.  One thing keeps nagging my mind – I need a dive computer soon!  We arrived home after sundown, just right for our plans for the night.

Margie’s, Oh Margie’s

I was getting famished already and after settling our luggage we hastily left for my favorite café – which has become Angel’s favorite too.  He just loved the English beer battered fish n chips in tar tartar sauce plus the cookie monster and cheesecake.  He has these cravings months ago after he first tried it last April!  And indeed, we were blessed that fish n chips is still available (hallelujah!) – we had a sumptuous dinner , actually it was utter indulgence! The rich cookie monster and blueberry cheesecake  plus the langka homemade ice cream was so tempting – I’m feeling guilty of eating that much! 😛  I needed help from Angel for my crispy beef tadyang! Angel and I was biding our time – for me it was like savoring life’s pleasures – to brace me for the all too hectic days ahead during year ends. It was some kind of regaining my equilibrium, to keep me perfectly sane… 🙂

I guess Angel  is getting fanatic with Margie’s, because the next day before our leaving back to CdO we went there again with Kay for lunch, just imagine we were the first customers on that Sunday, we were just right at their doorstep when the coffee shop opened!  😛 We tried other menus but never eliminating the cookie monster and cheesecake, we had another sumptuous meal again!  It would still be long before Angel could get back to Butuan for Margie’s Kitchen.  This time we never missed the chance to scribble on the café’s wall, we tried to beg the staff to let us do it.  Voila, Lakwatsero invades Margie’s Kitchen!  And yes, we had our photo taken by the shop – hopefully to be posted in the shop’s bulletin board.

Another Great Weekend

Angel was saying his weekend is full, so much has happened – well, two cities , in two regions in Mindanao, two dives in two wonderful sites in Duka Bay and two sumptuous meals at Margie’s. It was full indeed, and no doubt pleasurable.  We arrived CdO past 4pm just right for Angel to catch up for his flight back home.  New lessons, new learnings and new challenges.  The Lord has always done marvelous things for my trips keeping things in perfect order. Indeed, all things work for good to those who trust Him…

Back to Paradise and Aquarium!

your clean up countsAfter a wonderful get away with Angel at Anilao for our long planned dive, I had the opportunity to dive again with my mentor’s group for a cleanup.  It was unplanned though to have another dive on a consecutive weekend. It was just hard to resist aside from being low-cost, I will be revisiting one of the amazing sites in Duka Bay for underwater cleanup – my first time to be involved in such endeavor! Grateful that my dive mentor invited me even on a last minute notice!

 So on a downcast Saturday morning, I woke up too early to pack up, get on my contacts and catch the early aircon bus, I need to be there by 9am. I noticed it’s bit windy as we go along the way, the tree tops and branches were swaying – I was hoping the waters won’t be too choppy for a dive.  I arrived little bit past 9am but just on time before the cleanup, Ann & Kris was there to welcome me. Other divers were dressed already, for sure they arrived too early.  It’s good there’s another lady diver around, at least I have some company other than the guys who are strangers to me. It’s good to see Mario, Lemuel and PJ – my constant companions in my dives at Duka & Agutayan – they’re so kind to me, always they made my visits as comfortable as possible, they are always ready to accommodate my requests.  J 

 We were the first group to do the cleanup – six of us – Eduard & Raul (40 ft), Brandy & Karen (50 ft), Lemuel and me (60 ft). We should be parallel with each other, and must stay close with the buddy. Armed with scissors and net bags, we descend near the Aquarium.  A site so abundant with fish life – colorful and varied species just like in an aquarium!  Crinoids, sponges, hard & soft corals, and of course the debris. uwSince it was near the shore, all we got are fishing lines entangled on rocks and corals, long nylon rope and plastics.  Bouyancy control is needed in underwater cleanups, I got stuck with crinoids since I have to go low near the bed.  I have wanted to enjoy the scenery but we are focused with the task – Lemuel nudge me now and then to hold the lines, I got distracted with the fishes getting near me! J  We ascend after 35 minutes (too short!) with a bagful of trash. I still have 1800psi air, I could have stayed longer…

 We went for another dive after our lunch with another group, not a cleanup anymore but plain fun dive to Paradise – as it’s noted for its alibuag, crevices, caverns and abundant fish life. It’s a deep dive and I love to stay immerse in the cool alibuag – simply amazing – fresh water spring deep down in sea water!  But the current is getting imminent , we could feel it and we’re beginning to drift away. My buddy (I forgot his name), tags along with me and holding my BC which I don’t like – I prefer to be alone! And more than that, they signaled for an ascent! With just 35 minutes bottom time and my air still at 1500psi, I’m bit disappointed. I could have stayed longer and explored more even a the shallower area – I can surmise that they don’t have enough air more than the current, so we end up sooner.  Next time, I should request a buddy with efficient air consumption, I found it disgusting to just end up the dive because my companion have no air enough. Nevertheless, all the guys had lot of stories – one had zero air and use alternate from buddy, another had the mouthpiece of his regulator detached and gone kaput so he use his alternate air source – different lessons learned…

 We packed our gears and convinced Karen to just come back with me to the city, she decided earlier to stay for a night bash at the resort – the men are having a party! We settled our bills and waited for Mario who was diving with another group.  When they got back, we had pictures for Project Aware documentation, a form was filled up for the marine debris gathered.  We said our byes and we we’re transported to the bus stop.  It wasn’t long the aircon bus came and finally coming home. Unknowingly, the typhoon has ravaged the metro and in state of calamity!

clean up guys,,,

In a way, the day has been fruitful even if I still have lot of things to work out at home. Such a joy to do something good for our second home – the sea.  And the sights at Aquarium and Paradise never fails to captivate me again…