
Legaspi City Coral Nursery
Many local government units (LGUs) maintained nurseries, in agriculture parlance nurseries are where we nurture seedlings which shall later planted in its appointed time and appropriate area. It could be fruit trees seedlings, vegetable seedlings, flower and the like. In the waters, to preserve the reefs and provide shelter for the degrading marine life, many have adopted coral transplantation. Just like planting on the surface, selected seedlings are necessary to be nurtured and for this purpose that would need a coral nursery. Legaspi City is one the few local government units that installed and maintained one. It is a formidable task for the LGU alone, so in partnership with BFAR, BU, MCCF and Pacific Blue they established the facility. Last year, the brief encounter with Mr. Jin Masuda of Pacific Blue who was too optimistic on the success of the restoration efforts was too encouraging. For me, the importance of protecting and preserving marine resources can not be undermined. I just thought, this nursery is worthy for a visit!
Pacific Blue was kind enough to arrange one for me for free, the ICRM office was just beside the dive shop and I had a good chance in meeting the sea patrol unit. Legaspi City is one of the few who are serious in the fishery law enforcement in their territorial waters which I found too interesting. I had a long surface interval discussing their activities, plans, difficulties, challenges as well as victories.


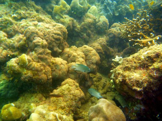
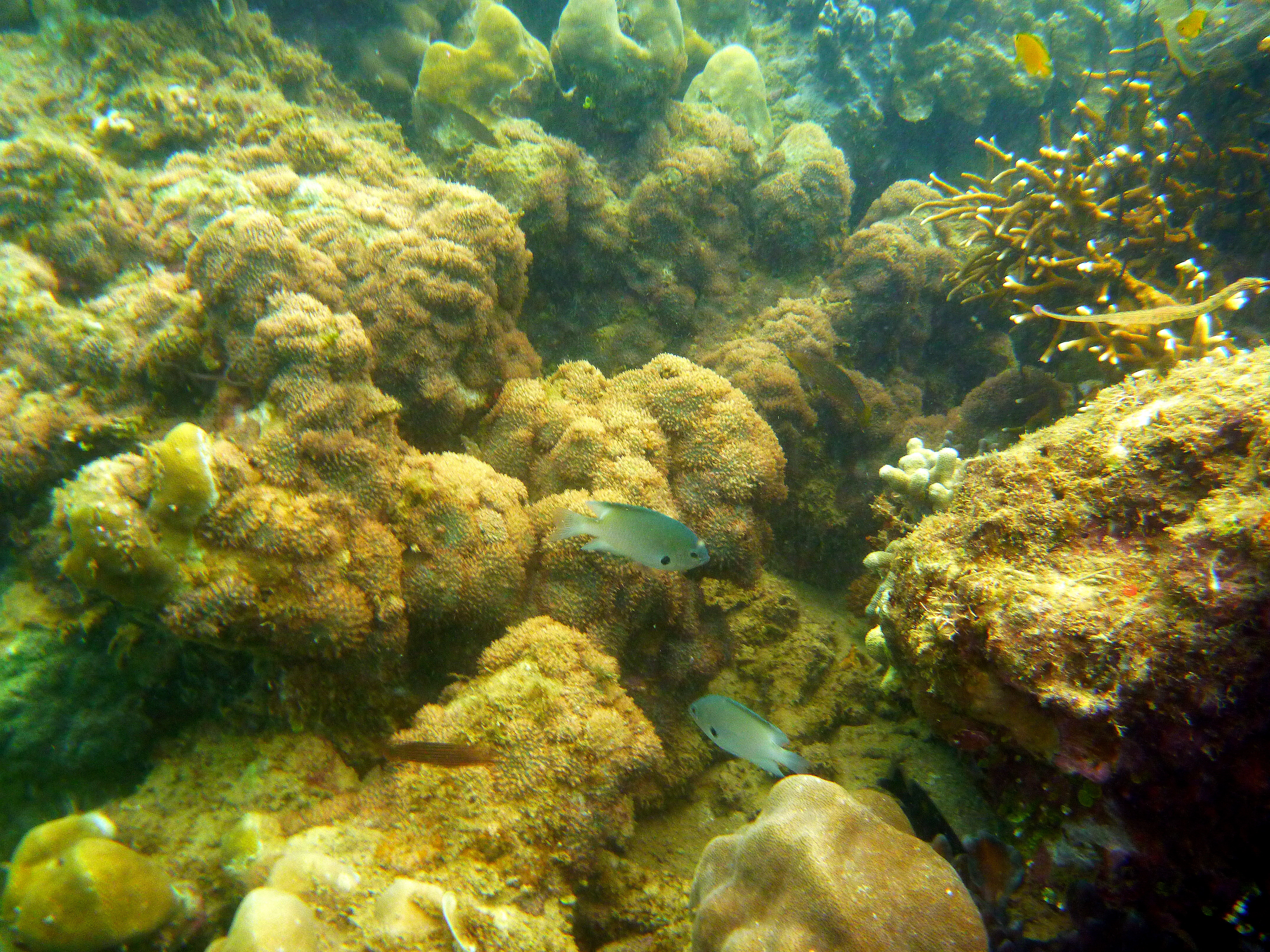
We trooped to the west end of the boulevard, took the ICRM boat donated by AECID and had my third descent for the day enjoying the afternoon warm flat waters, I was bit excited what to find in the depths. It was only at 9 meters on a sandy area, it wasn’t long when we found the crates of the seedlings. Their technology is different from the Linamon Project but all the same, the seedlings are allowed to grow first before the transplantation. The corals are sourced out in the nearby for adaptability advantages. My two companions – Ato of ICRM and Jun of Pacific Blue got instantly busy. Cleaning, arranging and inspecting the crates. They went around from end to end, later they told me they were searching for thatone missing crate which I had no idea while down there. We found it like 20 meters away from its original location. The newly transplanted corals in the area thrive well and juvenile fishes were roaming around.
After 40 minutes of going around we ascend, it wasn’t really long (I could have stayed longer I still have much air) but what a great privilege to be one of the few who witnessed such uncommon but very beneficial project for the marine world. Mr. Masuda is right, in five years Albay Gulf would be carrying in its bosom a colorful, active, rich and productive reefs. The home of Mt. Mayon is more than just its alluring surface, something is more fascinating in its depths!
NB. This is dedicated for the World Ocean’s Month
AECIDÂ – Spanish Agency for International Cooperation and Development
ICRMÂ Â Â – Integrated Coastal Resource Management






You must be logged in to post a comment.